問與答節錄
1. 寶翠園落成已二十年,如何確保當年安裝喉管仍然適合今天轉用咸水使用?轉用海水沖厠會否令屋苑喉管加快銹蝕?
答: 寶翠園早於建築時期已在水務處監督下使用抗咸水侵蝕的物料作沖厠供水系統,喉管是使用抗銹蝕的UPVC管。而就這次鋪設延伸支管工程, 水務署已重新詳細檢視所有文件,確認當年使用物料均合符標準並由當年的水務署批出, 因此雖然事隔二十年,仍然對屋苑的沖厠系統抗銹能力非常有信心!
2. 沖厠用的咸水供應是否經過特別處理?海水若處理不當很容易成為病毒傳播渠道及令到住戶室內馬桶零件加快損耗!
答:沖廁用的海水在輸送到屋苑前已經過消毒處理,須符合水務處規定的顏色、混濁度及氣味等要求,至於較大的雜質如泥沙會先由隔網除掉,然後再加氯或次氯酸鹽進行消毒(世衛組織證實有效消滅新冠肺炎病毒),才供應給用戶。處方亦會實時監測並採取適當措施控制沖廁水質,必要時如水質變差處方會啟動應變措施,即時調節咸水供應。
為確保樓宇沖廁系統的潔淨及避免沖厠系統出現故障, 水務處亦鼓勵屋苑參加由水務處推出的「大廈優質供水認可計畫–沖廁水」,安排合資格承辦商定期按建議步驟清洗設置於各座的公用沖厠水水箱。
3. 住戶室內座厠水箱是否需要定期清洗?可以加入藍泡泡等清潔劑嗎?
答:情況如使用淡水沖厠相近,不需要特別清理,可加入藍泡泡。
4. 水務處能否根據經驗提供有關用戶在轉用咸水沖厠後,增加喉管或座厠零件維修機率的數據?
答: 處方沒有相關資料但強調在觀察中沒有看到用戶因為轉用鹹水沖廁而增加維修喉管或座廁零件的次數。如用戶對水質有疑問,可聯絡水務處客服熱線2824 5000 查詢。
5. 事隔多年應該有不少住戶已更換發展商提供的座厠如智能馬桶,管理處有否準備任何措施協助業主進行室內座厠檢查,以確保沖厠設備及喉管接駁在正式轉用咸水前符合標準呢?
答:水務處一再強調公用部份及個別單位喉管符合海水供應標準,因此用戶無需為轉用海水供應而檢查內部供應系統和喉管。但考慮到業主對於曾經改動單位座厠的憂慮,會與管理處於稍後制作及提供相關資訊給所有業戶參考。業戶如有疑問亦可隨時聯絡水務處客服熱線 2824 5000 查詢。
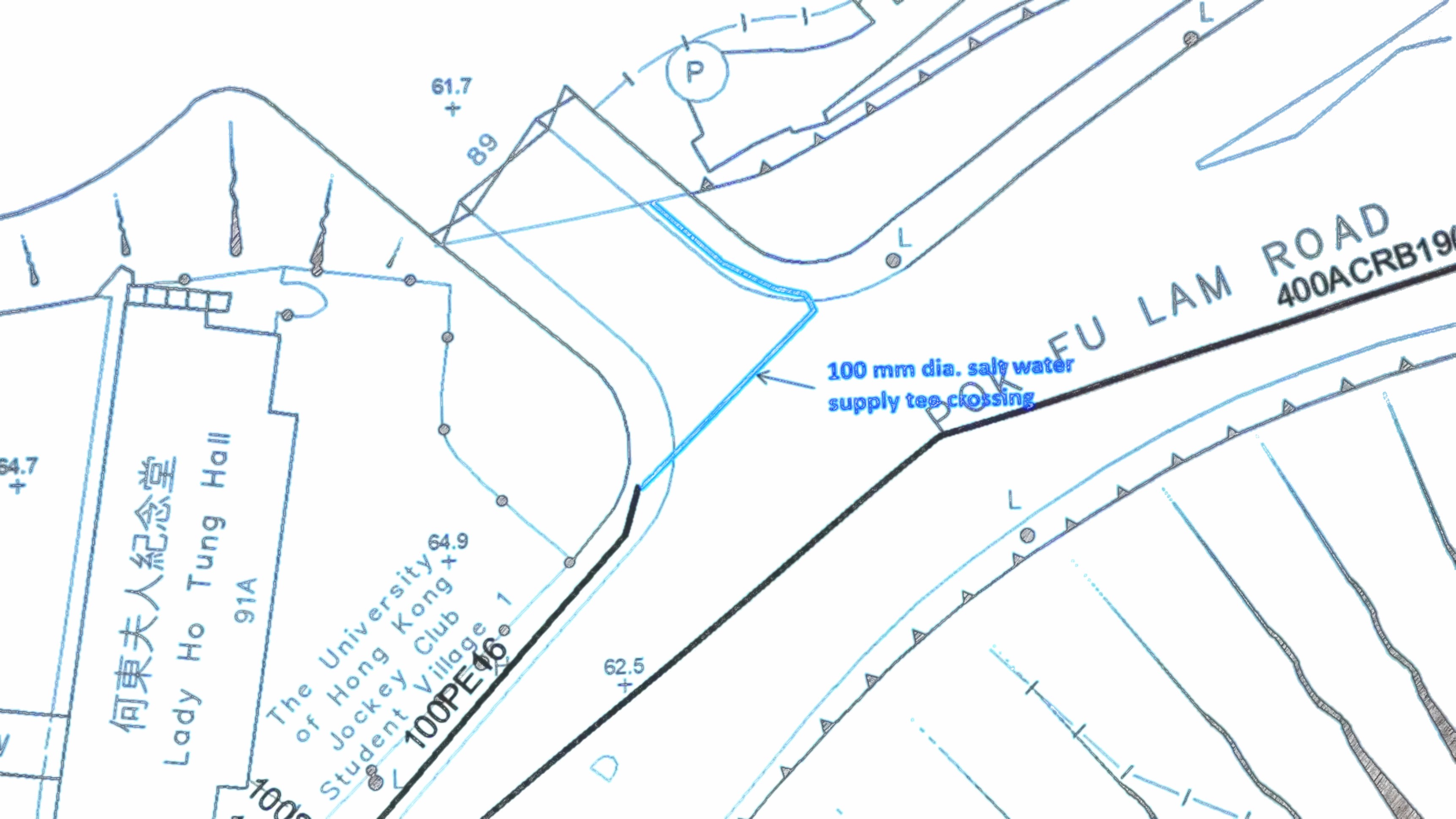
6. 鋪設延伸支管工程橫跨薄扶林道正門唯一的車輛出入口,施工安排上處方有沒有考慮到緊急消防通道的問題?
答:工程施工方案已獲運輸處及香港警務處審批,完全符合道路安全及消防通道要求。 另外處方已排期在暑假期間施工,工程只於每日上午十時至下午二時進行,以減低工程對學童使用校巴的影響。
7. 計劃中何時正式轉用咸水?進行正式接駁工程當天為何要同時暫停食水和沖廁水供應呢?
答:根據水務處現時計劃及支管延伸工程進展,暫定8月初進行正式轉換。
由於現時沖廁水是由食水供應,因此在接駁位置需要將淡水分流部份重新接駁,因此工程進行期間必須同時暫停食水及沖廁水供應。 而為了避開住戶用水高峰期,水務處會在路面工程完成後選擇一個夜深晚上(通常由午夜至黎明)進行轉換咸水供應最後接駁工程, 期間會與管理處協調提早加滿水箱,儘量減低對住戶帶來不便的影響。
8. 那麼消防喉供水系統是否一樣停水?
不會。那是另一個獨立供水系統,水務署進行接駁工程期間消防系統不會受影響,住戶可以放心。
9. 轉用咸水沖厠,每年可為寶翠園每年省下多少水費?
當水務處完成供應咸水配水管之接駁工程後屋苑便可全面轉用咸水沖厠,此改動可為寶翠園及商場用戶每年節省沖厠用食水約50萬元。處方建議管理處盡快配合展開工程,以免持續浪費珍貴食水資源。













《水務署簡介會》屋苑轉用海水沖厠安排 有 “ 1 則迴響 ”